3분 출조해 손맛만 보고 왔네요 기상만 허락하면 매일매일 출조하니 연락주세요 *** 거진항 뉴신성호 예약 안내 ***예약문의 : 010-2442-6471오시는길 : 강원도 고성군 거진읍 해오름해변길 185홈페이지 : https://shinseong.sunsang24.com/
내실 오전 9시30분 참가자미 출조합니다 오후 타임도 있으니연락주세요 *** 거진항 뉴신성호 예약 안내 ***예약문의 : 010-2442-6471오시는길 : 강원도 고성군 거진읍 해오름해변길 185홈페이지 : https://shinseong.sunsang24.com/
27일 토요일 왕대구 출조모집합니다 연락주세요 *** 거진항 뉴신성호 예약 안내 ***예약문의 : 010-2442-6471오시는길 : 강원도 고성군 거진읍 해오름해변길 185홈페이지 : https://shinseong.sunsang24.com/
출조하신 4분 조사님 수고하셨습니다 20수 정도 했고요문어는 덤출조하실 분들 연락주세요 *** 거진항 뉴신성호 예약 안내 ***예약문의 : 010-2442-6471오시는길 : 강원도 고성군 거진읍 해오름해변길 185홈페이지 : https://shinseong.sunsang24.com/
오늘 오전 대구 출조 했는데싸이즈 아쉽고 마리수도 아쉬운출조였네요오후 참가자미 는 싸이즈 좋고마리수도 좋았어요 대구. 참가자미 출조하실 분들연락주세요 기상만 허락하면 매일매일 출조합니다 *** 거진항 뉴신성호 예약 안내 ***예약문의 : 010-2442-6471오시는길 : 강원도 고성군 거진읍 해오름해변길 185홈페이지 : https://shinseong.sunsang24.com/
23일 토요일 참가자미 출조모집합니다 오전 7시~~~10시입항자리여유있어요 24일 일요일 대구.참가자미. 예약 순으로 출조합니다 연락주세요 *** 거진항 뉴신성호 예약 안내 ***예약문의 : 010-2442-6471오시는길 : 강원도 고성군 거진읍 해오름해변길 185홈페이지 : https://shinseong.sunsang24.com/
15일 금요일 참가자미 6시출항 ~~~9시입항 자리여유연락주세요 *** 거진항 뉴신성호 예약 안내 ***예약문의 : 010-2442-6471오시는길 : 강원도 고성군 거진읍 해오름해변길 185홈페이지 : https://shinseong.sunsang24.com/
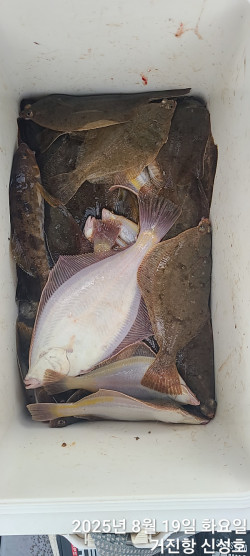
10일 일요일 4명 출조해10여수 조과는 저조 했지만손맛은 골고루 보았네요 참가자미 는 여전히 잘 나옵니다 휴가의 막바지 손맛 세꼬시 맛보고 가셔요연락기다립니다 *** 거진항 뉴신성호 예약 안내 ***예약문의 : 010-2442-6471오시는길 : 강원도 고성군 거진읍 해오름해변길 185홈페이지 : https://shinseong.sunsang24.com/
내일 일요일 대구라바 출조합니다 자리여유있어요 연락주세요 *** 거진항 뉴신성호 예약 안내 ***예약문의 : 010-2442-6471오시는길 : 강원도 고성군 거진읍 해오름해변길 185홈페이지 : https://shinseong.sunsang24.com/
8일 금요일 대구.참가자미.병행출조합니다5시30분출항~~~12시30분입항9시까지 대구이후부터 참가자미낚시 합니다연락주세요 *** 거진항 뉴신성호 예약 안내 ***예약문의 : 010-2442-6471오시는길 : 강원도 고성군 거진읍 해오름해변길 185홈페이지 : https://shinseong.sunsang24.com/
6일 참가자미 출조합니다 6시출항~9시입항자리여유있어요 7일 8일9일 10일 먼저 들어오는 예약 순으로 출조합니다 대구.참가자미 연락주세요 *** 거진항 뉴신성호 예약 안내 ***예약문의 : 010-2442-6471오시는길 : 강원도 고성군 거진읍 해오름해변길 185홈페이지 : https://shinseong.sunsang24.com/
내일 5시30분 출항해 대구낚시 9시까지 하고참가자미 낚시 12시까지 할겁니다출조하실 분들 연락주세요 오후 참가자미 출조합니다 *** 거진항 뉴신성호 예약 안내 ***예약문의 : 010-2442-6471오시는길 : 강원도 고성군 거진읍 해오름해변길 185홈페이지 : https://shinseong.sunsang24.com/
먼저 들어오는 순으로 출조합니다 8월1일 금요일 예약순 2일 토요일 오전6시 참가자미 10자리여유 3일 일요일 예약순4일 5일 6일 ~~~쭉 예약순연락주세요 *** 거진항 뉴신성호 예약 안내 ***예약문의 : 010-2442-6471오시는길 : 강원도 고성군 거진읍 해오름해변길 185홈페이지 : https://shinseong.sunsang24.com/
소수인원 모시고 참가자미 6시간 출조해 손맛들 보았네요 뉴신성호 먼저 연락오는 낚시로 출조합니다 대구지깅 대구라바 참가자미 문어연락기다립니다*** 거진항 뉴신성호 예약 안내 ***예약문의 : 010-2442-6471오시는길 : 강원도 고성군 거진읍 해오름해변길 185홈페이지 : https://shinseong.sunsang24.com/
대구 꾸준히 나옵니다 5시출항 12시입항 참가자미 도 잘 나옵니다 손맛 보실 분들은 연락주세요 *** 거진항 뉴신성호 예약 안내 ***예약문의 : 010-2442-6471오시는길 : 강원도 고성군 거진읍 해오름해변길 185홈페이지 : https://shinseong.sunsang24.com/
간만에 왕대구 출조해아침부터 꾸준히 씨알좋은 왕대구 잘 나왔어요 기상만 허락하면 매일매일 출조하니 연락주세요 *** 거진항 뉴신성호 예약 안내 ***예약문의 : 010-2442-6471오시는길 : 강원도 고성군 거진읍 해오름해변길 185홈페이지 : https://shinseong.sunsang24.com/
여전히 참가자미 싸이즈 좋네요 문어 도 잡히고잘 나올때 손맛 세꼬시 맛 보러오세요 기상이 허락하면 매일매일 출조합니다 연락들주세요 *** 거진항 뉴신성호 예약 안내 ***예약문의 : 010-2442-6471오시는길 : 강원도 고성군 거진읍 해오름해변길 185홈페이지 : https://shinseong.sunsang24.com/
참가자미 싸이즈 좋고 잘 나옵니다 세꼬시 왕 구이도 왕잘 나올때 손맛보세요*** 거진항 뉴신성호 예약 안내 ***예약문의 : 010-2442-6471오시는길 : 강원도 고성군 거진읍 해오름해변길 185홈페이지 : https://shinseong.sunsang24.com/
8일 일요일 참가자미 4분 출조해 빅 사이즈 대박 조항대구.문어.참가자미. 매일매일 출조하니 연락주세요 *** 거진항 뉴신성호 예약 안내 ***예약문의 : 010-2442-6471오시는길 : 강원도 고성군 거진읍 해오름해변길 185홈페이지 : https://shinseong.sunsang24.com/
5일 오전 대구라바 10자리여유 오후 참가자미 16자리여유 6일 오전 대구라바 10자리여유 오후 참가자미 16자리여유 7일 오전 대구라바 10자리여유 오후 참가자미 3자리여유 8일 오전 대구라바 10자리여유 오후 참가자미 16자리여유 출조하실분 연락주세요 *** 거진항 뉴신성호 예약 안내 ***예약문의 : 010-2442-6471오시는길 : 강원도 고성군 거진읍 해오름해변길 185홈페이지 : https://shinseong.sunsang24.com/
요즘 광어.참가자미 잘 나옵니다 연락주시면 친절히 안내 하겠습니다 잘 나올때 손맛들 보세요*** 거진항 뉴신성호 예약 안내 ***예약문의 : 010-2442-6471오시는길 : 강원도 고성군 거진읍 해오름해변길 185홈페이지 : https://shinseong.sunsang24.com/
안녕하세요 조사님들 요즘 광어 참가자미낚시 잘 나오고 있어요 연락들 주시면 친절하게 상담하겠습니다대구.문어.가자미..모든 어종 가능하니연락주세요 철이 철인만큼 참가자미 시즌입니다*** 거진항 뉴신성호 예약 안내 ***예약문의 : 010-2442-6471오시는길 : 강원도 고성군 거진읍 해오름해변길 185홈페이지 : https://shinseong.sunsang24.com/
모처럼 문어 출조해 간만에 대왕 문어 손맛을 보았네요 이제야 수온이 안정세를 띠는가 봅니다16일 금요일 문어 16자리여유 17일 토요일 문어 16자리여유 오후 참가자미 11자리여유 18일 일요일 문어 15자리여유 오후 참가자미 16자리여유 연락주세요 광어 케스팅 출조도합니다*** 거진항 뉴신성호 예약 안내 ***예약문의 : 010-2442-6471오시는길 : 강원도 고성군 거진읍 해오름해변길 185홈페이지 : https://shinseong.sunsang24.com/
대구라바 문어광어캐스팅 참가자미 예약받습니다 연락주세요 *** 거진항 뉴신성호 예약 안내 ***예약문의 : 010-2442-6471오시는길 : 강원도 고성군 거진읍 해오름해변길 185홈페이지 : https://shinseong.sunsang24.com/
3일 2분 출조해 현재 2마리 잡았네요 5일 월요일 7자리여유 오후 참가자미 자리여유 있어요6일 화요일 대구라바 10자리여유 오후 참가자미 16자리여유 연락주세요 *** 거진항 뉴신성호 예약 안내 ***예약문의 : 010-2442-6471오시는길 : 강원도 고성군 거진읍 해오름해변길 185홈페이지 : https://shinseong.sunsang24.com/
문어낚시 출조모집합니다 25일 금요일 13자리여유 26일 토요일 12자리여유 27일 대구라바 출조모집합니다 27일 일요일 10자리여유 연락주세요 *** 거진항 뉴신성호 예약 안내 ***예약문의 : 010-2442-6471오시는길 : 강원도 고성군 거진읍 해오름해변길 185홈페이지 : https://shinseong.sunsang24.com/
참가자미 시즌이 왔네요 싸이즈 좋고 마리수도 괜찮아요 월요일 화요일 수요일 목요일 금요일 문어낚시 토요일 일요일 대구 문어 참가자미 출조합니다 연락주세요 *** 거진항 뉴신성호 예약 안내 ***예약문의 : 010-2442-6471오시는길 : 강원도 고성군 거진읍 해오름해변길 185홈페이지 : https://shinseong.sunsang24.com/
19일 토요일 문어 출조합니다5자리여유 20일 일요일 대구 나 문어 출조합니다연락주세요 다음주 대구 문어 참가자미 출조하니 연락주세요 홈페이지 참조해주세요 *** 거진항 뉴신성호 예약 안내 ***예약문의 : 010-2442-6471오시는길 : 강원도 고성군 거진읍 해오름해변길 185홈페이지 : https://shinseong.sunsang24.com/
출조하신 조사님들 수고하셨습니다 들어오기 전 바람 불었네요싸이즈 좋았는데마리수가 아쉬웠던 하루였어요 일요일 주의보입니다 월요일 12자리여유 문어화요일 16자리여유 문어 나 대구수요일 11시 생활낚시 목요일 16자리여유 문어 나 대구금요일 16자리여유 문어 나 대구연락주세요 *** 거진항 뉴신성호 예약 안내 ***예약문의 : 010-2442-6471오시는길 : 강원도 고성군 거진읍 해오름해변길 185홈페이지 : https://shinseong.sunsang24.com/
11일 문어 조과기상은 좋았는데 조과가 아쉬움이 남네요문어는 골고루 나눠서 잡지못하네요오늘 3수 축하드립니다내일 12시부터 바람이 쫌 찍히는데오전 낚시는 될거같아요 12일 토요일 7자리여유 13일 일요일 16자리여유 14일 월요일 12자리여유 15일 화요일 16자리여유 연락주세요 *** 거진항 뉴신성호 예약 안내 ***예약문의 : 010-2442-6471오시는길 : 강원도 고성군 거진읍 해오름해변길 185홈페이지 : https://shinseong.sunsang24.com/





























